Sometime ago an enquiry was made through Facebook for information on a brick found in a backyard. A photo was supplied and we were able to help with some background information on its origin.
One person replied to the photo with the tongue in cheek comment “It’s a brick”. While obviously true, it was a brick, that block of baked clay was also a symbol of something much more significant.
It was a symbol of colonisation, of urbanisation and industry and it told a story about the people and places of our area.
Many of us are familiar with Marrickville’s significant 20th century industrial heritage, but it has an earlier history of European industries that helped build Marrickville, the colony and the Empire.
Marrickville’s farming and gardening were obviously important in ensuring the health and wellbeing of the colonists, but it was brickmaking and lime-burning that literally provided the bricks and mortar to create a city and a colony.
Building the settlement
The British were accustomed to building with brick so it was natural for the colonists of the First Fleet to bring bricks, at least 5000 of them, along with wooden boxes for hand moulding new ones. Unfortunately, due to poor planning the British forgot to include a brickmaker in the company. Luckily for Governor Phillip they found a bricklayer (close enough) amongst the convicts, James Bloodsworth (also written Bloodworth).

https://oa.anu.edu.au/entity/12456
Rather than continuing to import bricks the authorities looked for clay sites near the Port Jackson (Sydney) settlement. An area that came to be called Brickfield Hill (today the bottom end of George Street) was thought ideal but to be sure clay samples were sent to England for confirmation of quality. No lesser figure than Josiah Wedgewood was called upon to analyse the material and he deemed it to be of good quality and fine for building.
The 5000 bricks were used to help build NSW’s first official building, Government House. However, more were needed and they were hand made with clay from Cockle Bay, now Darling Harbour. The mortar came from imported lime and sea shells gathered from Cockle Bay.
The centre of British imperial power in NSW, Government House, was built with the very land that had been taken and, via shells from middens, the cultural and social history that had been usurped.

Plan de la ville de Sydney (detail) Charles Alexandre Lesueur 1802 https///nla.gov.au/nla.obj-230676724/view
As the settlement developed more bricks were needed and Brickfield Hill would eventually become large enough to be called a suburb of Sydney.
It housed convicts who had been assigned to work in the brickyard. Many had committed offences while in the colony and were subject to very harsh work regimes and dangerous jobs. Teams of up to 12 men would act as bullocks or horses and haul bricks on carts down to the town about 1.5 kilometres away.
While Bloodworth was held in high regard, brickmakers in general, or convict brickmakers at least, were not. The population of Brickfield’s was considered dangerous by other settlers and they were also a special problem for the Aboriginal people of the area who had several confrontations with them.
In December of 1788 a group of 50 warriors appeared at the site, they withdrew when confronted by convicts brandishing their shovels and spades like firearms. This incident sparked the expedition that lead to the capture of Arabanoo at Manly later that month.
Then in March of the next year a group of convicts from the brickfields decided to march on Botany Bay with clubs and work tools to attack the people there to take fishing gear and spears. They were spotted early and attacked by a group of warriors and in their retreat, one was killed and seven severely wounded. Marines had to be sent out to rescue them, by which time the warriors had melted back into the country.
The convicts concocted a story for the enraged Governor about being set upon while collecting “sweet tea” but were not believed. Some eventually confessed and the Governor had the whole group “severely” flogged (150 lashes according to one observer). Arabanoo was invited to watch the flogging and told why it was happening. Watkin Tench, who was also there, tells us that Arabanoo “displayed on the occasion symptoms of disgust and terror only”.
Unlike clay, lime to make mortar, was hard to find in Sydney. The British were looking for limestone but they would have to wait until they pushed further into the country before any was found.
In the meantime, shells from various bays around the settlement were collected and burnt to create the lime. As large amounts of lime were needed the colonists began to break up shell middens which were found in various locations around the harbour. These middens had accumulated over hundreds, if not thousands of years and told the story of the labour, dietary and social history of the indigenous population. Most have now been lost through this process, although we still have one in our area.
Lime production soon became a major enterprise and small boats would bring shells from all around Sydney to central locations, such as Cockle Bay.

Image: Dixson Library, SLNSW Call Number DL PXX 31 File Number 9730987
By the 1830’s Sydney was growing quickly and making its way down George Street to the hill. The brickworks were gradually closed down and the brickmakers, now including free settlers and free convicts, moved on. Initially just down the Parramatta road to Ultimo, Glebe, Camperdown then Newtown, Marrickville, St Peters, and Petersham.
Building the colony
All these areas had good clay deposits and in the cases of St Peters, Marrickville and Petersham access to timber, water, shell deposits and middens along Cook’s River and from Gamay (Botany Bay).
The very early brickmakers of our area were often farmers with what is today called a ‘side hustle’ and more expert people who leased land from the farmers. As early as 1844 two Marrickville farmers, Jabez Handley and Purdy (no first name given, but likely John) are listed in Low’s Sydney Directory as being brickmakers.
The bricks were all handmade and ‘burnt’ in simple brick kilns. The process was dirty, slow, and hard work. Clay was dug up, pounded and mixed with water to get a good consistency. It was then ‘pugged’ using a machine called a pugmill operated by a horse or human. The mill worked like a slow kitchen blender to make a smooth clay which was then set aside for a time.
Once the clay was ready sections were cut from it and carried to a table, usually by children, where the brickmaker would press it into wooden moulds. Sand was sprinkled on the bottom of the mould to allow the brick to be removed easily. The bottom of the mould was called the stock and these types of bricks are called ‘sandstock’. They were then set aside as ‘green bricks’ to sit until fired in a kiln.

Lithograph, some col: [Brickmaker], by Denis Dighton, Printed & Published at Rowney & Forster’s Lithographic Press 51 Science Museum Group Collection © The Board of Trustees of the Science Museum, London
Brickmaking was often a family affair; fathers working as the brickmakers and children, usually boys, as pugmill operators or “puggies”. Brothers also often worked together in a business. Examples from Petersham are Anthony Blamire & Son and Playford Brothers.
Lime burning was a different story. Initially it was simply a matter of heaping up a lot of shells with some wood fuel and letting it burn (see the illustration above). However, the quality was poor and kilns were soon established.

Photo: Lime Kiln, Cooks River Dam c1870s SLNSW [a089634/SPF/634] Mitchell Library
The lime was extracted from seashells either gathered from the shoreline, dredged from the bays or dug up from the mounds of shells or middens built up over centuries by Aboriginal people. While this practice eventually stopped when lime stone was more readily available, the lime kiln at Cook’s River operated until at least 1880.
The clays of Marrickville and, particularly, St Peters were found to be excellent for brickmaking and they were easily accessible. Soon brick pits dotted the landscape.
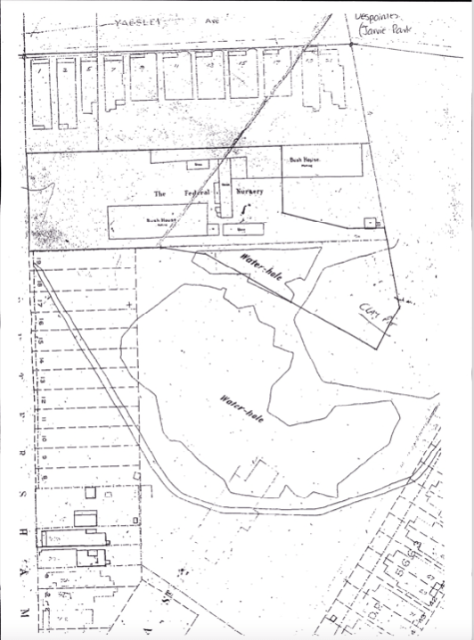
Today the most obvious or well-known are Sydney Park, Henson Park and the Dibble Avenue ‘waterhole’.
Generally, the Marrickville pits were created around the edge of the Gumbamorra swamp and the many creeks that fed into and out of its drainage network. Addison Road (the home of John Purdy and Jabez Handley), Edinburgh Road, (Emmanuel and William Harber) and Fitzroy Street (Thomas Saywell, Johnston Brothers), Chapel Street (east) (William Mosely and Sam Bloomfield), Victoria Road (Frederick Eagles and William Collings), Sydenham Road (formerly Swamp Road) (Thomas Daley, Despointes Brothers) and Unwin’s Bridge Road (George Toyer and Henry Lipscombe) all had brick pits.
Most of St. Peters pits were along the line of road now called Prince’s Highway from Sydney Park (see below) to St. Peter’s Anglican Church, and included May Street (Charles Gentle and the Goodsell brothers). This line has been called ‘the golden mile’ because of the immense production that took place there, right up until the 1980s. The Sands Postal Directory of 1863 listed 14 brickmakers on that small stretch of road.

Image: Inner West Council Library & History Services.
Small-scale production boomed as more immigrants arrived and Sydney grew in the 1860s. Brickmakers moved from site to site in search of easily accessible clay. Rupert Cook starting at Princes Highway, then Silver Street in Sydenham, Unwin’s Bridge Road then settled on Denby Street off Addison Road on the land once owned by Jabez Handley. But bricks were still being made by hand. Even a master brickmaker and team could only produce around 1200 bricks a day.
The industrial era arrives
Mechanisation had been introduced to the USA and UK via steam power from the 1840s but the ‘tyranny of distance’ and the cost of the machinery slowed its introduction into NSW.

Image: The Practical Mechanics Journal April 1856-March 1857
The expense of imported steam-powered brickmaking machines left small family operations stuck in the ‘artisanal’ world, while new enterprises, often companies, took on large debts to ‘tool up’. The housing boom of the 1860s meant many were able to carry this debt and some new players also entered the field. Thomas Saywell, a tobacco tycoon, began a brickworks on land he owned between Chapel and Fitzroy streets. The Despointes brothers, one an architect and the other a wine merchant, began a brick works on their family’s Frogmore estate, now Petersham Road, Malakoff and Despointes Streets.

Image: Inner West Council Library and History Services.
Over time, the introduction of mechanisation and large-scale production revolutionised the industry and brought Marrickville and St. Peters into the industrial era. It meant that clay shale, a hard clay that lay deeper in the ground, could be accessed. Machines were now used to bring it to the surface and as a result very large and deep pits developed. This shale was not ‘pugged’ but ground or crushed, dampened and then placed in moulds which were pressed under pressure from the steam machine creating dry pressed bricks. Using these machines, 65 workers at the Johnston Brothers works on Fitzroy Street could produce over 200,000 bricks a week.
Brickmaking in our area spurred engineering and manufacturing as companies began to produce homegrown machines and provided innovations to imported machines. Johnston Brothers used a “stop motion brick making machine” that was patented by William Stuntz, a partner and manager of the company.
In 1886 the Petersham Brick Company on Constitution Road in Dulwich Hill showed off a new kiln developed and patented by the company manager Edward Peters, and brickmakers Frederick Button from Garner’s Avenue, and Frederick Goodsell from May Street, St Peters. The patent was for an adaptation to existing brick kilns which enabled the smoke from the kiln to be collected and the fine coal dust in it to be burnt again. This eco-friendly idea helped cut down fuel use and the terrible air pollution from the kilns.
They called it the “Centennial Patent Brick Kiln” (it was the centenary of European colonisation). In 1891 this new kiln and its 140ft (42.6 metres) chimney was built for the Standsure Brick Company at their site, which is now Henson Park. Standsure had only been in business for 4 years but were making 100,000 bricks a week and had dug a pit that was already 40 feet (12 metres) deep.

Image: The Dictionary of Sydney.
The industrial revolution was to have a profound effect on employment within the brickmaking world. The shift from family to company manufacturers changed who was employed and the conditions under which they worked.
In the UK, liberal campaigners were fighting against the employment of children and for universal education. Workers were forming organisations and unions to fight for better wages and conditions.
Once again, the ‘tyranny of distance’ meant it took time for some ideas to reach NSW. In 1875 a Select Committee of the NSW Legislative Assembly was formed to look into the employment of children. In January 1876 evidence was taken from brickmakers in the St Peters area, including George Toyer, Frederick Goodsell and and brick worker James Cook. While the enquiry exposed the terrible conditions and workloads of children it did not produce any legislation. It was the Public Education Act of 1880, which required children between 6 and 14 to attend school, that spelt the end of child labour in the brick pits. For an excellent story on the St Peters testimony see ‘Employment of Children’ on the St Peters Cook’s River history group website.

Source: https://www.nationalarchives.gov.uk Catalogue ref: ZPER 35/2 1871 see also: http///www.old-merseytimes.co.uk/georgesmith.html.
The other international issue to change the brickworks was what was then known as the ‘boon’ of the 8-hour day.
While those craftsmen of building blocks, the stonemasons, had achieved an 8-hour working day in 1856, lowly brickmakers were still working 10-12 hours a day in 1885.
In November 1885 brickmakers in our area met and formed a union, their primary purpose being to fight for an 8-hour day. They immediately set out a list of eight demands made of the brickwork’s owners, stating that the eight-hour day should be introduced by 1 January 1886. The response was silence, excepting at the Goodsell brickworks in May Street (now Camdenville Park). There, owner John Goodsell sacked the treasurer, trustee and secretary of the union who worked for him and shut down his works for 4 days. When he reopened the works, he rehired the union treasurer and trustee but not the secretary, James Cook. Cook and Goodsell would carry on a war of words for a full year.
The January deadline passed, as did one in April, so another was set for June. When that passed the workers voted to strike. On June 23 about 500 unionists marched from St Peters Town Hall to Newtown and then down to Marrickville to publicise their strike.

Image: Wikimedia Commons.
The marchers cheered as they passed brickyards that had gone to an 8-hour day such as Tabrett and Draper and stopped and ‘engaged’ with owners, like William Stuntz at Johnson Brothers, who had not. This led to the remarkable sight of James Cook, brick worker and trade unionist, backed by 500 marchers, standing in the road arguing with his brother, brickworks owner and anti-trade unionist, Rupert Cook.
By August, lack of wages meant many worker’s families were going hungry and some had to sell furniture to pay rent. The men began to go back to work. Most, but not all, were accepted back into the yards, where some employers began implementing the 8-hour day from 1 November. This was something the employers had pledged early in the dispute.
Decline and fall
The workers had little time to enjoy the new regime. The 1890s saw NSW plunged into depression, the building boom collapsed and brickworks began closing. It has been recorded there were 113 works in Sydney in 1890 but only 32 by 1900.
Now only the large players survived: Josiah Gentle’s Bedford Brick Works which was later bought by Austral Brick Company, Rupert Cook in Marrickville until 1905 then Enfield until 1922, and Standsure Brick Company at Henson Park until 1924.
When brickworks closed, often all that remained were the holes in the ground, which began to fill with water. Many of the pits were very close to built-up areas and were popular with children as swimming holes and places to explore. Drownings were commonplace.

Source: The Daily Telegraph 21/12/1896 Page 8. https://trove.nla.gov.au
Perhaps the most infamous today, was the huge ‘blue hole’ at Thomas Daley’s Standsure Brickworks on Sydenham Road, now Henson Park. Even when the works were in use Thomas Daley worried about summertime as it was difficult to keep children out. And it wasn’t just children; in 1900 65-year-old brickmaker Richard Houghton drowned in the Standsure pit.

Image: Scratching Sydney’s Surface website
As late as February of 1925, Bishop brothers Norman (11) and Kerwin (7) of Garner’s Avenue drowned in the Standsure pit while fishing. In what was actually a common occurrence two people dived in to save them. They were council workers Richmond Jerrens and Archie Blamire (from the Blamire brickmaking family). Their heroic efforts were recognised when they received an award from the Royal Shipwreck Relief and Humane Society.
Eventually, the council was spurred to action. Owners were ordered to fill in the waterholes. Others were purchased and turned into parks.
Today, little of this important industry remains; some chimneys and kilns in Sydney Park, popular open spaces and parks, and the hole in the ground at Dibble Avenue. But the legacy, which is hiding in plain sight, is our city. Many of its buildings and houses are made with bricks of clay from St Peters, Marrickville and Petersham. They too are being lost to history.
Rod Aanensen

Source: Inner West Council Library & History Services.

Brilliant, comprehensive and engaging article!
LikeLiked by 1 person
I’m a descendant of George toyer & I still have an unused toyer brick . I had quite a few but they have been laid in house I built or renovated .
LikeLiked by 1 person
Fascinating read. I believe my forbears (Emery)also had a brickworks in the area but their names don’t appear in this article.
LikeLike
Hello Lindy, I am wondering if the family you are referring to are Alfred and Hannah Emery. Our friends at St Peters Cooks River History Group website have the baptismal records of two of their three children, Alfred Henry, and Isabella Harriet on their site. Unfortunately, I could not mention every brick maker in our area as there were so many of them. I note that the family name Emery has a long association with Marrickville. Most notable is Emery and Bradshaw, bakers, on the corner of Illawarra and Sydenham Roads. This bakery worked from around the late 1890s until at least the 1950s. In fact, I have spoken to people who remember it well from their childhoods. Any relation?
LikeLike