Heritage Watch
Does Marrickville need another pub? How about a new old one?
Looking into the history of 234 Enmore Road, we have made a very interesting discovery. A little-known or documented hotel.

Photo: Google Maps, image captured March 2021
The cottage is quite unique in Marrickville as it is weatherboard. Given Marrickville’s brickmaking history (Building Blocks of Empire), bricks have been the building material of choice for well over a century.
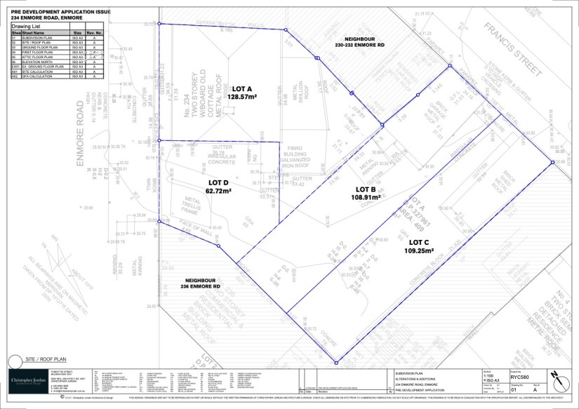
The entire site has been sold and a pre-lodgement Development Application (DA) has been submitted to council. The plan is to subdivide the existing allotment into four titles. The cottage at 234 (Lot A) is to be altered and have some additions to its fabric.

Copyright: Christopher Jordan Architecture and Design.
Inner West Council Application Tracking.
As the cottage is in the Enmore House Estate Heritage Conservation Area shown on the Heritage Map below by red hatching and labelled “C13” (234 is circled in blue), any works will be carefully scrutinised, especially by MHS.

Marrickville Local Environment Plan 2011. (Detail, and addition). Image: Scott MacArthur.
The story of this cottage and its links to a long-forgotten pub is quite different from our usual stories. In this one, the main actors do not have Anglo-Celtic family names and they are not involved in building, farming or politics.
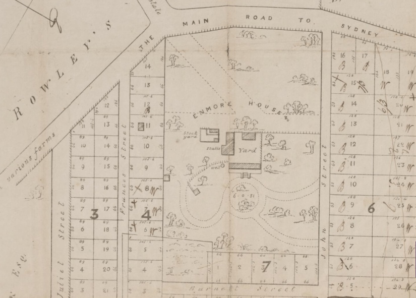
The Gadigal land on what is now the corner of Francis Street and Enmore Road was once part of the grounds of Enmore House, a grand home built for Sylvester Brown. The whole estate was subdivided and sold in 1841.

Jacques Duruz purchased Lot 12 of Section 3 in 1877.
Sydney R. Clint Lithograph, 1841. Call No. MAP F 599
nla.gov.au
Our story starts in 1877 when part of this land was sold to Jacques (James) Duruz.
Looking into Jacques’ background, we find he came from French-speaking Switzerland and arrived in Sydney, aged 22, about one month after Thomas Chalder’s sale of the village of Marrickville in 1855. He had been sponsored by his brother Jean (John) who was already here. Although Jacques had arrived as a supposed agricultural worker (as so many keen to get to Australia claimed, including Thomas Chalder) he actually worked as a cook and confectioner. At this time confectioner was a term used for bakers who made cakes, pastries and deserts as well as the usual sweets, ice creams and the like.
Marrickville has a connection to another famous Sydney pastry cook and confectioner – Hanz Compagnoni. Hanz was from Italian-speaking Switzerland so it is not surprising that the Compagnoni’s and the Duruz’s were close friends. In fact, when Hanz took a trip to Europe in 1867, he left the running of his restaurant business to his brother Tommaso and “Messrs Lolato and Duruz.” Giovanni Lolato was Italian but, confusingly, ran a popular French cuisine restaurant.

George Alphonse Collingridge de Tourcey (1847-1931)
Hand coloured engraving
antiqueprintmaproom.com
With this background, it is surprising to find Jacques operating a hotel just a few hundred metres from the Warren View, which had opened seven years earlier.
However, he did get a publican’s licence and ran the Marrickville Road Hotel on the corner of Francis Street and Enmore Road. Newtown Council’s rates assessment books for the period tell us that besides a bar, the hotel had seven rooms. Perhaps it was from the renting of these rooms that Jacques was able to compete with the Warren View. The name may well have been a reference to a common description of Enmore Road as the road to Marrickville.

trove.nla.gov.au
Jacques’ life as a publican was short; he died at the age of 49 in 1881. Sadly, his brother Jean had died at 46, ten years earlier, and his son James was to die aged 53 in 1929.

Photo: Google Maps, image captured March 2021
With his death Jacques’ wife, Ellen, was left with three children and a hotel. Ellen took over the licence but within six months she was in trouble with the law. In October 1881 she was fined 20 shillings for selling alcohol on a Sunday. Because of this she lost her licence when it came up for renewal the following August.
It appears that 234 Enmore Road was built around this time (1877-1883) as the Newtown Council rates assessment book of 1883 shows Ellen is the owner of two properties on Enmore Road. Now without the business, Ellen sold the hotel site. By 1885 the hotel was owned by James Yates who was letting it out as a house and shop. The site remains today as shops and a house; however, the building is new.
Ellen would remain at 234 Enmore Road until her death in 1922. She lived there with her three surviving children (of eleven): Emily (who died in the house in 1894 at the age of 31), Mary Ellen (known as May) and the youngest, James.
May married Alfred Louis Riedel in 1890 and they set up house with the other members of the family at 234 Enmore Road. They had one son, Norman, born in 1897. Alfred was a tailor who had various premises in the city. He had been born in Australia but his father came from Saxe-Weimar in Germany. He was another player in our story who did not fit the mould.

State Library NSW. Illustration: Duncan Jones
Young James had been an infant when Jacques died. In adulthood he did a series of labouring type jobs and had minor run-ins with the law. One case is interesting as it gives us an idea of what our area was like in the early part of the 20th century.
In 1905, James and his mate, William Stanley, were charged and fined for ‘furious riding’ in Alice Street, Newtown. (At that time Sand’s Postal Directory recorded 112 addresses on Alice Street compared to about 160 today.) The furious riding was done on a horse and their defence was simple. Two horses had broken away from a group of 36 they were driving down the street; they had to round them up. Rather than ride furiously they had gone after them “at a slow pace.” The magistrate was not convinced.
James had married Ellen Cann in 1897 and they had a son very quickly. But the marriage was short lived, with Ellen moving to New Zealand and leaving her son, George, with her parents in Camperdown. George took their name rather than Duruz and grew up to become the famed “Snake Man of La Perouse”. For his story visit “The Canns of La Perouse” and the Dictionary of Sydney “Last Snake Man of La Perouse. “

May and Alfred Riedel only stayed at 234 for two more years after Ellen’s death. They sold the cottage and moved to Bellevue Hill.
For the next 34 years the house had two owners and was often rented out.
Then in 1958 it was bought by Polish immigrants Kazimierz and Lucija Wiszniowski, and they raised a family there. Kazimierz had come to Australia on the S.S. Asturias after WW2 and worked on the other great hydro project, Butlers Gorge in Tasmania. Lucija arrived a few years after. When 234 was sold recently the family had owned the property for longer than the Duruz’s.
Other than the closing in of the verandah, which occurred in 1968, the house (cottage) at 234, on the outside at least, looks much as it did when the Duruz family arrived. It will be a great thing if at the end of the future works it continues to look like a 19th century wooden cottage.
Rod Aanensen
I would like to thank Alana Wulff, Duncan Jones, and Gabby Richards for their assistance with this story.
